Незаконно отбирают кусок участка - как быть?
- Aqua$erg
- Хозяин
- Сообщения: 9763
- Зарегистрирован: 08 авг 2006 20:46
- Откуда: СНТ "Полиграфист"
- x 795
- Контактная информация:
Незаконно отбирают кусок участка - как быть?
Такая вот проблема, уважаемые участники и гости Форума:
Недавно ко мне письменно обратился некто Коровин Борис (недавно зарегистрирован на форуме как borrisk), член СНТ "Родник" с просьбой посодействовать в меру возможностей с решением его беды. Дело в том, что у него давняя тяжба с хозяйкой соседнего участка Александровой О.Д., которая мало того, что незаконно приобрела участок, заняв часть территории общего пользования (само собой, с подачи правления СНТ), пробурила артезианскую скважину без каких-либо согласований, что привело к подвижке грунта на участке Коровина, но она ещё и претендует на часть территории участка Коровина. Судя по письменному обращению к местному депутату Раховой Е.А., со стороны Александровой были предприняты некоторые "полузаконные" мероприятия - такие как межевание, получение заключения несуществующей фирмы, якобы занимающейся подобными земельными экспертизами и проч.
Все эти липовые заключения суд принял в пользу истца - Александровой, но не обратил никакого внимания на указания Коровиным на их несостоятельность и незаконность. Депутат Рахова Е.А. письмо от Коровина приняла, но никак на него не отреагировала. Одной из главных проблем в ориентирах для проведения законного межевания Борис видит уничтоженный государственный реперный (межевой) знак. Эти знаки изначально создавались при выделении территорий садоводствам, но в большинстве СНТ на нынешний день эти знаки уничтожены самими же садоводами.
Вся эта тяжба и сама чудовищная ситуация открытого грабежа в сговоре с властями довела отца Коровина до могилы. Само собой, теперь Борис никоим образом не намерен оставлять всё "как есть", хотя бы в память об отце. Да и вообще хочется справедливости.
Ниже привожу некоторые документы, которые предоставил Борис. Прочтите и скажите: есть ли у Бориса какие-то шансы на успех? Можем ли мы ему помочь?
Недавно ко мне письменно обратился некто Коровин Борис (недавно зарегистрирован на форуме как borrisk), член СНТ "Родник" с просьбой посодействовать в меру возможностей с решением его беды. Дело в том, что у него давняя тяжба с хозяйкой соседнего участка Александровой О.Д., которая мало того, что незаконно приобрела участок, заняв часть территории общего пользования (само собой, с подачи правления СНТ), пробурила артезианскую скважину без каких-либо согласований, что привело к подвижке грунта на участке Коровина, но она ещё и претендует на часть территории участка Коровина. Судя по письменному обращению к местному депутату Раховой Е.А., со стороны Александровой были предприняты некоторые "полузаконные" мероприятия - такие как межевание, получение заключения несуществующей фирмы, якобы занимающейся подобными земельными экспертизами и проч.
Все эти липовые заключения суд принял в пользу истца - Александровой, но не обратил никакого внимания на указания Коровиным на их несостоятельность и незаконность. Депутат Рахова Е.А. письмо от Коровина приняла, но никак на него не отреагировала. Одной из главных проблем в ориентирах для проведения законного межевания Борис видит уничтоженный государственный реперный (межевой) знак. Эти знаки изначально создавались при выделении территорий садоводствам, но в большинстве СНТ на нынешний день эти знаки уничтожены самими же садоводами.
Вся эта тяжба и сама чудовищная ситуация открытого грабежа в сговоре с властями довела отца Коровина до могилы. Само собой, теперь Борис никоим образом не намерен оставлять всё "как есть", хотя бы в память об отце. Да и вообще хочется справедливости.
Ниже привожу некоторые документы, которые предоставил Борис. Прочтите и скажите: есть ли у Бориса какие-то шансы на успех? Можем ли мы ему помочь?
- Вложения
-
- pismo_rahovoi.doc
- Обращение к депутату Раховой Е.А.
- (5.66 МБ) 332 скачивания
0 x
- Рыбак
- Знаток
- Сообщения: 1812
- Зарегистрирован: 26 ноя 2010 18:24
- Откуда: "Старый Белоостров" СНТ Железнодорожник
- x 267
Безусловно нужин юрист, затем суд, в суде нужно добиваться размеживание участков, распроватизация и т.д. Затем суд должен назначить независемую экспертизу по замеру участков и.т.д. - стоимость порядка 42тыс.руб. Скорее всего придётся платить Коровину. При этом всё нужна куча документов начиная с того года когда выдан участок и посегоднишней день. На сегодняшней день все что касается земельного вопроса очень сложно решать даже в суде.
А насчёт скважины и захвата земли с помощью СНТ заниматься наврядли станут.
А насчёт скважины и захвата земли с помощью СНТ заниматься наврядли станут.
0 x
- Alexisss
- Садовод
- Сообщения: 263
- Зарегистрирован: 09 мар 2012 14:11
- Откуда: СНТ "им.Луначарского"
- x 38
- Контактная информация:
программа действий:
1. Заключаете договор с геодезистами на подготовку межевого плана.
2. Устанавливаете на своем участке колышки с маркерной лентой, обозначающие границу вашего участка.
3. Не забываете про требования СНиП т.е. 3м от дома 1,5м от сарая.
4. Согласовываете границу вашего участка с председателем и соседями.в том числе и с 18 участком.
( решение суда по части участка не имеет значения, поскольку уч 18 на кадастре БЕЗ МЕЖЕВАНИЯ см. http://portal.rosreestr.ru "Справочная информация по объектам недвижимости в режиме online" и где проходит граница, неизвестно.)(Если 18 уч не подписывает границу, есть законный способ обойти его подпись. подробнее объяснят геодезисты.)
5. сдаете в кадастровую палату.
6. Вызываете геодезистов и выносите границу в натуру металлическими межевыми знаками. (уничтожение или перемещение межевого знака - штраф 300р.)
Ну и не забываем, что площадь участка должна быть не более площади указанной в свидетельстве +10%.
7, если площадь больше, получаете от председателя выписку из решения общего собрания о прирезках земель общего пользования к участкам.
1. Заключаете договор с геодезистами на подготовку межевого плана.
2. Устанавливаете на своем участке колышки с маркерной лентой, обозначающие границу вашего участка.
3. Не забываете про требования СНиП т.е. 3м от дома 1,5м от сарая.
4. Согласовываете границу вашего участка с председателем и соседями.в том числе и с 18 участком.
( решение суда по части участка не имеет значения, поскольку уч 18 на кадастре БЕЗ МЕЖЕВАНИЯ см. http://portal.rosreestr.ru "Справочная информация по объектам недвижимости в режиме online" и где проходит граница, неизвестно.)(Если 18 уч не подписывает границу, есть законный способ обойти его подпись. подробнее объяснят геодезисты.)
5. сдаете в кадастровую палату.
6. Вызываете геодезистов и выносите границу в натуру металлическими межевыми знаками. (уничтожение или перемещение межевого знака - штраф 300р.)
Ну и не забываем, что площадь участка должна быть не более площади указанной в свидетельстве +10%.
7, если площадь больше, получаете от председателя выписку из решения общего собрания о прирезках земель общего пользования к участкам.
0 x
Председатель СНТ "им.Луначарского"
http://luna.spb-m.ru
http://luna.spb-m.ru
Спасибо всем подключившимся!Сразу прошу извинить меня за комьютерную безграмотность - никогда раньше не участвовал в форумах.
По сути: решение суда основано на заключении организации с громким названием "ОБЛЭКСПЕРТИЗА" - две пожилые дамы (за 50-60л) с рулеткой и строительным образованием. Никаких приборов нет. Организация странная, адрес есть (Моховая 31), но найти ее там нельзя - нет их там. Суд "странным образом" знает их адрес во Всеволожске (Плоткина, 19) - это закрытй подвал (дворницкая), и прямо им туда док-ты отправляет (выходит - передает из рук в руки!!). Предложена экспертиза адвокатом истца (Александровой) Ескиным, который с тетками знаком неск. лет, а они и не скрывали это (это НЕ противозаконно, но рез-т очевиден. так и объегорили стариков, которые за это еще и заплатили, а истец - ни хрена). В письме депутату это подробней описано. Есть фото, видео по указанным адресам, показывающие, что там нет никакой"ОБЛЭКСПЕРТИЗЫ". Есть аудио, где эксперт подтверждает связь с истцом. Все прверки начинаются с большим энтузиазмом (норм. челу и так все ясно), но ничем не заканчиваются - ответ обычно типа "в огороле бузина.." Собственно заключ. "ОБЛЭКСПЕРТИЗЫ" У СПЕЦ-ТОВ ВЫЗЫВАЕТ МИНИМУМ УСМЕШКУ
По сути: решение суда основано на заключении организации с громким названием "ОБЛЭКСПЕРТИЗА" - две пожилые дамы (за 50-60л) с рулеткой и строительным образованием. Никаких приборов нет. Организация странная, адрес есть (Моховая 31), но найти ее там нельзя - нет их там. Суд "странным образом" знает их адрес во Всеволожске (Плоткина, 19) - это закрытй подвал (дворницкая), и прямо им туда док-ты отправляет (выходит - передает из рук в руки!!). Предложена экспертиза адвокатом истца (Александровой) Ескиным, который с тетками знаком неск. лет, а они и не скрывали это (это НЕ противозаконно, но рез-т очевиден. так и объегорили стариков, которые за это еще и заплатили, а истец - ни хрена). В письме депутату это подробней описано. Есть фото, видео по указанным адресам, показывающие, что там нет никакой"ОБЛЭКСПЕРТИЗЫ". Есть аудио, где эксперт подтверждает связь с истцом. Все прверки начинаются с большим энтузиазмом (норм. челу и так все ясно), но ничем не заканчиваются - ответ обычно типа "в огороле бузина.." Собственно заключ. "ОБЛЭКСПЕРТИЗЫ" У СПЕЦ-ТОВ ВЫЗЫВАЕТ МИНИМУМ УСМЕШКУ
0 x
- Alexisss
- Садовод
- Сообщения: 263
- Зарегистрирован: 09 мар 2012 14:11
- Откуда: СНТ "им.Луначарского"
- x 38
- Контактная информация:
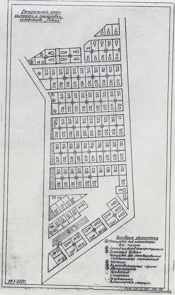
Был в Юконе, посмотрел кадастровую съемку участков 15, 16, 17, 18, 19.
Кусок участка у Коровина отбирают совершенно законно.
Коровин мало того, что поставил забор на территории участка №18, так еще и захватил полосу земель общего пользования, шириной 3м, с противоположной стороны участка.
Эти выводы я делаю на основании плана застройки СНТ и реального местоположения заборов участка №17.
Не могут участки стоять в шахматном порядке, если в плане все разбито ровно.
И какая бы не была "левая" экспертиза, но выводы она сделала правильные.
В настоящий момент захватчиком чужих земель является Коровин и суд принял справедливое решение!
Кусок участка у Коровина отбирают совершенно законно.
Коровин мало того, что поставил забор на территории участка №18, так еще и захватил полосу земель общего пользования, шириной 3м, с противоположной стороны участка.
Эти выводы я делаю на основании плана застройки СНТ и реального местоположения заборов участка №17.
Не могут участки стоять в шахматном порядке, если в плане все разбито ровно.
И какая бы не была "левая" экспертиза, но выводы она сделала правильные.
В настоящий момент захватчиком чужих земель является Коровин и суд принял справедливое решение!
0 x
Председатель СНТ "им.Луначарского"
http://luna.spb-m.ru
http://luna.spb-m.ru
-
Старый дачник
- Садовод
- Сообщения: 341
- Зарегистрирован: 20 июн 2009 23:38
- Откуда: СНТ "Белоостров"
Мне кажется вся эта история очень мутной. Какие-то спутниковые снимки, на которых ничего не понять. Какие-то путаные с недомолвками объяснения. Какие-то полу-недо-документы, из которых опять же ничего понять невозможно. Чем больше читаю, тем меньше верю этому Коровину. А уж его заявление, что он первый раз на форумах и его пост ... без комментариев. Вполне очевидно, что человек очень хорошо владееет компом, инетом и на форумах давно прописан. Его заява из серии "сами мы не местные, поможите, чем можити!".
0 x
Я что-то не вкурил. Между участками 17 и 15 должна быть "зеленая зона", согласно генплана. А на вот этой картинке она отсутствует??? Где спорная территория?
0 x
"вроде говоришь, да все не про то..." ©
Уважаемый дачник! Участки 18, 16,15 куплены у первичных членов СНТ По ген плану кстати, действующему, между 17 и 15, между 18 и 16 - дорога. Из-за формы дороги главной, к северу от 18го не получается 40мширина 2х участков) - поэтому еще в 89г, решением уже покойного предс. участки 17 и18 сдвинуты вправо на шир. дороги, а участок 18 сделан длинным, что видно по въезду на него. это все видно из приведенных рисунков- посмотрите внимательнее. Все это было сделано еще первичными владельцами и они жили без конфликтов. При зтом участок 18 должен быть уже и длиннее, иначе будет уже 17й .Далее - шахматный порядок возник из-за захвата 16м у 15го и ко мне отношения не имеет!! смотрите снимок правее, там линия ( правее 15го) совпадает с границей моей и далее - тоже.
так что не спешите обвинять. Юкон же делает как ему скажут.
И объясните мне как Юкон 18му написал 5,29сот при документах 6.0сот и факте порядка 10сот, если Вы мне же написали лично про кадастр в 6сот? Это не МУТНО? Забор с противоположной стороны действ. стоит с др стороны канавы, что явл нарушением, НО К ДЕЛУ НИКАКОГО ОТНОШЕНИЯ НЕ ИМЕЕТ, тех !)сотках и документах на 6.00!! Вы себе же пртиворечите.
Если кто не знает, то можно быть компьютерно- грамотным и не участвовать в форумах, а могут знающие люди и помочь.
Если снимки сGOOGLE EARTH кажутся мутными как и я покажите другие на том же месте. Поправьте, где не так...
так что не спешите обвинять. Юкон же делает как ему скажут.
И объясните мне как Юкон 18му написал 5,29сот при документах 6.0сот и факте порядка 10сот, если Вы мне же написали лично про кадастр в 6сот? Это не МУТНО? Забор с противоположной стороны действ. стоит с др стороны канавы, что явл нарушением, НО К ДЕЛУ НИКАКОГО ОТНОШЕНИЯ НЕ ИМЕЕТ, тех !)сотках и документах на 6.00!! Вы себе же пртиворечите.
Если кто не знает, то можно быть компьютерно- грамотным и не участвовать в форумах, а могут знающие люди и помочь.
Если снимки сGOOGLE EARTH кажутся мутными как и я покажите другие на том же месте. Поправьте, где не так...
0 x
- Alexisss
- Садовод
- Сообщения: 263
- Зарегистрирован: 09 мар 2012 14:11
- Откуда: СНТ "им.Луначарского"
- x 38
- Контактная информация:
Это как раз обычная практика, пожарный разрыв съели соседи.
Дай бог, чтобы поровну распилили.
Там и спорить не о чем,
а вот захват канавы вдоль проезда и захват куска участка №18, это уже беспредел!
Дай бог, чтобы поровну распилили.
Там и спорить не о чем,
а вот захват канавы вдоль проезда и захват куска участка №18, это уже беспредел!
0 x
Председатель СНТ "им.Луначарского"
http://luna.spb-m.ru
http://luna.spb-m.ru




